Need More Info?

Crystal Olenbush

512-344-6000
  • 18916 Fm 1431 Highway

  • $2,959,999
  • 9.69 Acres Land Jonestown, TX 78645

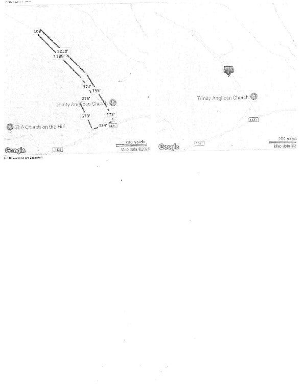
9.6887 acres of mostly level land located on FM 1431 between Jonestown and Lago Vista. Property is adjacent to the Trinity Anglican Church site. Zoned B-1 & R-1. There is approximately 450 feet of frontage on FM 1431. This property has an access easement to 4 tracts totaling over 780 acres with subdivision potential. The property is adjacent to a 13+acre tract fronting FM1431 that is currently on the market.

Essential Information

  • MLS® #4823895
  • Price$2,959,999
  • Bathrooms0.00
  • Acres9.69
  • TypeLand
  • Sub-TypeUnimproved Land
  • StatusActive

Community Information

  • Address18916 Fm 1431 Highway
  • SubdivisionABS 249 SUR 105 D & W R R CO
  • CityJonestown
  • CountyTravis
  • StateTX
  • Zip Code78645

Amenities

  • FeaturesSee Remarks
  • ViewHills, Trees/Woods
  • WaterfrontNone

Utilities

Above Ground Utilities, Cable Available, Electricity Available, Natural Gas Not Available, Phone Available, Sewer Not Available, Water Available, Water Not Available

Exterior

  • Lot DescriptionLevel

School Information

  • DistrictLago Vista ISD
  • ElementaryLago Vista
  • MiddleLago Vista
  • HighLago Vista

Additional Information

  • ZoningB-1 & R-1

Map & Directions

View in Google Maps
Please provide a valid email address.

Property Listed by: Coldwell Banker S.g. Billings

The information being provided is for consumers' personal, non-commercial use and may not be used for any purpose other than to identify prospective properties consumers may be interested in purchasing.

Based on information from the Austin Board of REALTORS® (alternatively, from ACTRIS) from January 22nd, 2026 at 4:15am CST. Neither the Board nor ACTRIS guarantees or is in any way responsible for its accuracy. The Austin Board of REALTORS®, ACTRIS and their affiliates provide the MLS and all content therein "AS IS" and without any warranty, express or implied. Data maintained by the Board or ACTRIS may not reflect all real estate activity in the market.

All information provided is deemed reliable but is not guaranteed and should be independently verified.